Deciduous trees
Intermediate rowan
Sorbus intermedia (Ehrh.) Pers.
Synonyms: Intermediate rowan, Scandinavian rowan, Middle rowan, Swedish rowan
Intermediate rowan (Sorbus intermedia (Ehrh.) Pers.) – a species of the genus Sorbus of the Rosaceae family. The species was first described in 1784 by the German botanist Jakob Friedrich Ehrhart in his work Gartenkalender 4: 197.
In nature it occurs in southern Sweden, and is also found in the eastern part of Denmark (Bornholm), the extreme southwest of Finland, Estonia, Latvia and northern Poland.

Author V.Kudelya
It is a medium-sized deciduous tree 10-20 m tall; trunk diameter reaches 60 cm, more rarely up to 2-3 m. Annual increase in height about 40 cm, in width about 30 cm. Bark gray, smooth to broadly fissured. Crown 5-7 m in diameter, with age up to 12 m, ovate, compact, dense, later becoming oval to rounded. Branches brown, thin. Shoots at first densely tomentose, later becoming glabrous.

Author E.Spivakovsky
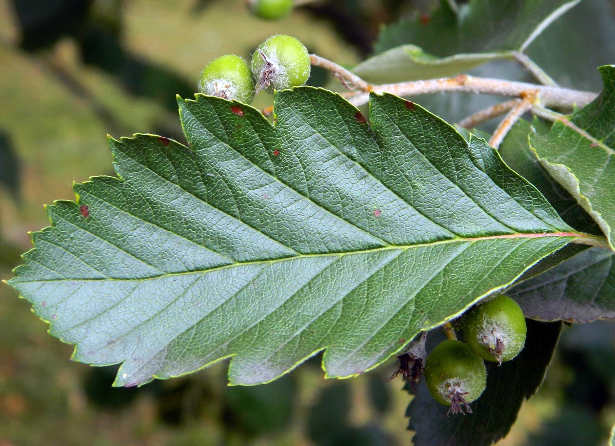
Leaves 6-12 cm long, elliptic or oblong-ovate, blunt, with a rounded base; at the base more often with 5 pairs of shallow but clearly defined, pointed or blunt lobes; sometimes the lower pairs of lobes are divided almost to the midrib, but they are never compound and pinnate. In the upper part the leaf blade is indistinctly and shallowly lobed-toothed; along the margin the leaves are finely and unevenly serrate, with 7-9 pairs of veins; above with a waxy bloom, dark green, glossy; beneath until autumn woolly, grayish or yellowish-gray from the indumentum; before leaf fall they turn yellow or orange.

Author A.Kuzmin
The plant is monoecious. Flowers 1.2 cm in diameter, white, gathered in many-branched, broad, tomentose inflorescences 8-10 cm in diameter. Flowering in late May - early June (after leaf expansion).

Author V.Kudelya
Fruits 1.3 cm in diameter, ellipsoid to oblong, brick-red in color, edible only after exposure to high temperatures that destroy poisonous substances present in the fruits. Ripen in August-September.
Hardiness zone: 5a (-29°C)
Location: light-demanding, but can grow in partial shade. Prefers warmth and is tolerant of high temperatures. Poorly tolerant of urban conditions, wind-resistant. Grows on almost all soils, from relatively dry to moist, prefers well-drained, relatively fertile substrates. Sensitive to salinity and prolonged severe drought. Does not tolerate alkaline soils. Optimal soil acidity – pH 6-6.5. Groundwater should be no closer than 2 m depth.
Planting: planting pit size: 60x60x60 cm. Do not plant seedlings too deep. Soil mixture consists of the fertile layer, 5 kg peat-compost or humus, potassium fertilizer (100 g) and superphosphate (200 g). Acid soils should be limed. Optimal planting period: autumn – from mid-September to early October or early spring. Spacing between vigorous trees should be no less than 3-4 m, between weak-growing trees – 1.5-2 m.
Care: does not require regular watering, but responds to care. Starting from the 3rd year after planting it is recommended annually to apply organic fertilizers – half a bucket of humus or compost, 20 g of potassium sulfate, 50 g of superphosphate. In May ammonium nitrate can be applied at 15 g per 1 sq. m of the tree circle.
Pruning: to increase crown strength it is recommended to train main branches at an obtuse angle. Pruning is carried out in early spring before bud swelling. On young trees shoots are slightly shortened to an outer bud and broken or excess branches removed. On fruiting rowans it is recommended to remove suckers and perform sanitary pruning. Forming of fruiting plants depends on the character of fruiting. For cultivars that fruit on last year’s growth, branches are recommended to be slightly shortened and thinned. With weak growth the tree requires rejuvenation pruning to 2-5 year-old wood. Rowans that fruit on various types of formations have their semi-skeletal branches shortened, as well as thinned and rejuvenated on the spurs. Shoots grow quickly and ripen well by winter.
Diseases and pests: little affected by diseases and pests. One of the main pests is the cherry slug sawfly. Since rowan is one of the first to leaf out in the garden, it often becomes a target for aphid infestations, which then spread throughout the garden. To prevent this, it is recommended to spray the rowan with the product "Aktara". During the growing season use the product "Fitoverm".
Propagation: by seeds, grafting, cuttings, layering, root suckers. Cultivar plants are propagated by grafting. For seed propagation it is necessary to collect the fruits at the beginning of browning, crush them through a sieve, wash with water and dry. Store seeds in a moist state until autumn. Before the soil freezes sow them in small furrows spaced 15-18 cm apart, at a depth of 1-1.5 cm and cover with compost. For spring sowing seeds require stratification for 6-7 months at 0-1°C. In spring sow seeds as early as possible in a sunny spot with fertile soil. Layering is used if the plant has a bushy or low-stem form. In spring or autumn bend branches to the ground, fix with hooks, while the tip is brought up and fixed in a vertical position. The fixed part of the shoot at the soil should be girdled. By autumn adventitious roots will appear above the girdled area. It is recommended to dig out by the end of the second year. All grafting methods are available. Grafting technique is the same as for apple.
Uses: Considered a low-value fruit species. The fruits can be consumed fresh. Widely used in garden landscaping, as it is decorative throughout the year, especially during flowering and autumn coloration. It is a good honey plant.