Deciduous shrubs
Thin-stemmed willow
Salix gracilistyla Miq.
Synonyms: Salix gracilistyla var. acuminata Skvortzov, Salix gracilistyla var. latifolia Skvortzov, rosegold pussy willow
Thin-stemmed willow (Salix gracilistyla Miq.) – a species of flowering plants in the genus Salix (willows) of the family Salicaceae. It occurs in China (provinces Jilin, Heilongjiang and Liaoning), in Japan, on the Korean Peninsula, and also in Russia (Ussuri region), and is found along the banks of mountain rivers, on gravelly and sandy deposits. Characteristic of low-mountain valley landscapes. It ascends into mountains up to 900 m above sea level. In cultivation since 1895.

It is a spreading shrub 2-3 m in height, less often a small tree. Grows rapidly, 60-80 cm per year. Crown rounded, spreading, dense. Branches dark brown, covered with silky hairs, later becoming almost glabrous, erect and spreading. Buds large, long and conspicuous. Young shoots greenish with a grayish-white, dense and short pubescence, thin, long.

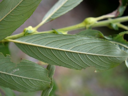
Stipules elongated-elliptic or semi-cordate in shape, acute, large, finely toothed. Leaves obovate or oblong-lanceolate, 10-12 cm long, up to 3.5 cm wide, with a shortly acuminate apex and a rounded or narrowed base, finely or sharply serrate along the margin, slightly silky above, dark green, later glabrous, beneath glaucous almost silvery. Petiole strongly expanded toward the base, at first pubescent, later almost glabrous, up to 10 mm long. Differs from other species by the strongly prominent lateral arc-shaped veins on the underside of the leaf.

Catkins appear before leaf unfolding, in April-May, lasting 4-6 days. Catkins are sessile, densely flowered, clustered, appressed to the branches, short, straight, cylindrical in shape, 1-1.5 cm in diameter. Male catkins 3-3.5 cm in length, female – 2.5 cm. Bract scales egg-shaped with an acuminate apex, dark brown or blackish, 2-2.5 mm long. Stamens 2, fused along their full length, 5-6 mm long, glabrous, with a single internal nectary of awl-shaped form up to 1.5 mm long; anthers elliptical, yellow. Ovary small, ovoid-conical or oblong. Almost sessile, white-gray or nearly silky, with a filiform long yellow style that exceeds the ovary by almost twice, with a short entire, less often 4-lobed stigma. Seeds ripen in the first half of June.

Chromosome number 2n = 38

Forms: var.melanostachys – thin-stemmed willow var. melanostachys
Hybrids: with Salix schwerinii E.L. Wolf – Salix × gracilistyliformis Korkina
Hardiness zone: 6b (-23°C).
Location: light-loving. Tolerates urban conditions. Not demanding regarding growing conditions. Requires a site sheltered from strong winds.
Soil: not demanding; grows on any sufficiently moist soil. Prefers fertile soil, although it can grow on poor and dry soils.
Planting: Planting is best carried out in spring before bud break. When establishing a willow stand ("ivnyak" - willow thicket) it is recommended to work the soil in autumn to a depth of 30-80 cm, depending on its fertility and dryness. The top organic layer should be turned down. The recommended spacing between seedlings should be no less than 0.6-2 m, depending on the species. Planting depth – 40-70 cm. Transplanting is recommended up to 3-4 years of age. On heavy soils a drainage layer of crushed stone or sand 20-30 cm thick is recommended.
Pruning: tolerates shearing and pruning well. Regular removal of dead shoots and shaping of the trunk and crown is recommended.
Care: practically requires no care.
Propagation: propagated by seed, summer and hardwood cuttings.
Pests: longhorn beetles, willow leaf beetle (Lochmaea caprea), Crepidodera aurata, larvae of hymenopterans (Trichiosoma sibiricum), lepidopteran caterpillars (Acleris cristana, Teleiodes notatella, etc.).
Diseases: affected by fungal diseases – fungi of the genera Melampsora, Rhytisma, Erysiphe, Phytophthora ramorum.
Uses: recommended for use in solitary and group plantings in squares and parks in well-lit locations.